Local Service Overview

Get Ants Extermination Service in Fort Bend County, TX

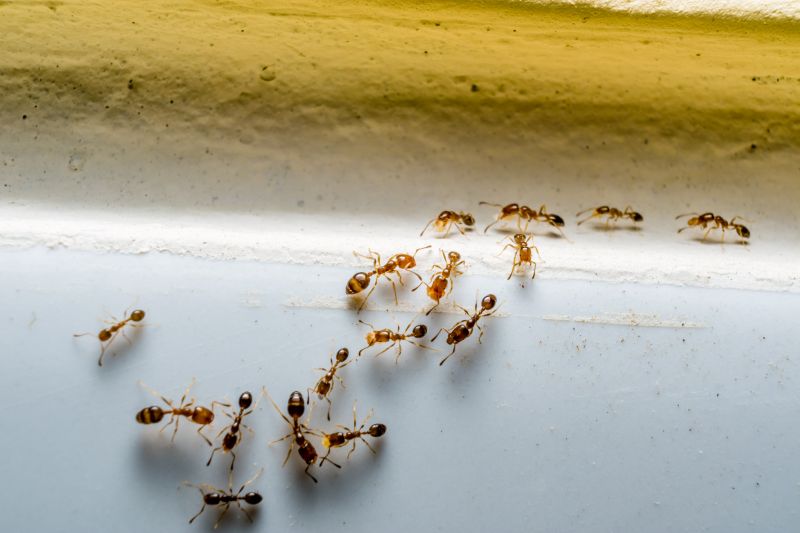
Ants extermination services for property owners in Fort Bend County, TX, and nearby areas address ant infestations, preventing damage and ensuring pest-free indoor and outdoor spaces.

Fort Bend County, TX

Ants extermination services provide property owners in Fort Bend County, TX with an effective solution to manage and prevent ant infestations. These services help maintain a comfortable living environment by reducing the presence of unwanted pests that can invade kitchens, dining areas, and other common spaces. Additionally, professional extermination can enhance safety by eliminating potential health risks associated with ant colonies, such as contamination of food and surfaces, ensuring a safer home for residents and visitors alike.

Choosing expert ant control services can also improve the functionality and durability of a property by preventing structural damage caused by certain ant species, like carpenter ants. Regular treatment helps reduce ongoing maintenance needs and preserves the integrity of the building’s foundation and woodwork. Furthermore, effective pest management can boost curb appeal by keeping outdoor spaces and entry points free of ant trails and nests, creating a cleaner, more inviting appearance for the property.

Get Ants Extermination Service Quotes

  • Ants Extermination - needed when ants invade kitchens, pantries, or other indoor spaces in residential or commercial properties.
  • Ants Extermination - required if persistent ant trails are observed around the exterior of a home or building.
  • Ants Extermination - necessary when ant colonies are found nesting in lawns, gardens, or landscaped areas.
  • Ants Extermination - sought after when ants are causing damage to property or contaminating food supplies.
  • Ants Extermination - appropriate if recurring ant problems persist despite initial treatment efforts.

Get Ants Extermination Service Quotes

Ants Extermination Service
Ants Extermination Service
Ants Extermination Service

Ants extermination services involve identifying and eliminating ant infestations within residential, commercial, or industrial properties. Professionals typically conduct thorough inspections to determine the extent of the problem and locate ant colonies. Treatment methods may include the application of targeted insecticides, baiting systems, or barrier treatments designed to eradicate ants at their source and prevent future invasions. The goal of these services is to restore a pest-free environment and reduce the risk of ant-related nuisances and property damage.

Ant infestations can cause various issues for property owners, including structural damage, contamination of food supplies, and general discomfort. Certain ant species, such as carpenter ants, are known to damage wood structures, while others, like fire ants, pose health risks through painful stings. Additionally, ants can be persistent and difficult to control without professional intervention, which is why timely extermination services are often necessary to address ongoing problems and prevent larger infestations.

The types of properties that typically utilize ants extermination services include single-family homes, apartment complexes, restaurants, and retail stores. Residential properties often seek treatment to protect food supplies and maintain comfort, while commercial establishments may require regular pest control to meet health and safety standards. Warehouses and food processing facilities are also common locations for ant control services, especially when infestations threaten product safety or compliance with industry regulations.

Professional ant extermination services are designed to provide comprehensive solutions tailored to each property’s specific needs. Technicians use a combination of inspection, targeted treatments, and preventative measures to control existing ant populations and minimize the likelihood of future invasions. Contacting local pest control providers can help property owners address ant problems efficiently, ensuring a pest-free environment and peace of mind.

The overview below groups typical Ants Extermination Service projects into broad ranges so you can see how smaller, mid-sized, and larger jobs often compare in Fort Bend County, TX.

In many markets, a large share of routine jobs stays in the lower and middle ranges, while only a smaller percentage of projects moves into the highest bands when the work is more complex or site conditions are harder than average.

Initial Inspection - The cost for an ant inspection typically ranges from $50 to $150, depending on the size of the property and complexity. Some providers may charge a flat fee or include it with treatment services.

Perimeter Treatment - Applying ant control around a home can cost between $100 and $300. The price varies based on the property’s size and the extent of the infestation.

Spot Treatments - Spot treatments for localized ant issues usually fall within $50 to $200 per session, depending on the severity and the area to be treated.

Ongoing Service Plans - Regular ant control service plans generally range from $200 to $500 annually, offering scheduled visits and treatments to prevent future infestations.

Actual totals will depend on details like access to the work area, the scope of the project, and the materials selected, so use these as general starting points rather than exact figures.

Get an Ants Extermination Service Quote

Ants Extermination services connect homeowners with local pest control professionals who specialize in identifying and eliminating ant infestations effectively.

Residential Ant Control providers offer targeted treatments to address ant problems within homes and prevent future invasions.

Commercial Ant Extermination services assist business owners in managing ant issues to maintain a pest-free environment for employees and customers.

Eco-Friendly Ant Removal options are available through local pros who use environmentally conscious methods to control ant populations.

Preventive Ant Treatments are recommended by local specialists to reduce the likelihood of recurring ant problems in residential and commercial properties.

Emergency Ant Pest Control services are accessible for urgent infestations requiring prompt attention from nearby pest control providers.

Ants Extermination Service

When evaluating local ant extermination service providers, experience is a key factor to consider. Homeowners should look for professionals with a proven track record in handling ant infestations similar to their specific needs. Reputable providers often have extensive backgrounds in pest control, which can contribute to more effective and efficient treatments. By reviewing the backgrounds of different local pros, homeowners can gain insight into their expertise and the types of ant issues they have successfully addressed.

Clear written expectations are essential for establishing a mutual understanding of the scope of work and the methods used. Reputable service providers typically provide detailed estimates or service descriptions that outline what treatments will entail, any preparations required, and follow-up procedures. This transparency helps homeowners make informed decisions and ensures that everyone is aligned on the services to be performed, reducing potential misunderstandings.

References and communication are also critical when selecting a local ant extermination professional. Reputable providers can often furnish references from previous clients, offering insight into their reliability and service quality. Good communication, including prompt responses and clarity in explanations, helps homeowners feel confident throughout the process. As a lead-generation resource, the site introduces local options but does not perform the work itself; it connects users with qualified pros who can meet these important criteria.

Get an Ants Extermination Service Quote

Property owners in Fort Bend County, TX use Ants Extermination Service services for practical projects around their homes and businesses. The sections below highlight everyday jobs and straightforward project options.

Ants Extermination Service
Ants Extermination Service

Ants extermination services are commonly sought after by property owners in Fort Bend County, TX, who notice ant activity around their homes or businesses. Common situations include discovering trails of ants in kitchens, bathrooms, or other indoor spaces, especially during warmer months when ant colonies become more active. Property owners may also seek professional assistance if they observe ant mounds in yards or outdoor areas, aiming to prevent potential infestations from spreading indoors.

Many property owners look for ant extermination services to address ongoing issues with recurring ant problems or to eliminate colonies that threaten the comfort and cleanliness of their spaces. Factors such as increased ant activity after rain or noticing ant trails leading inside are typical reasons for seeking professional help. Local service providers can offer targeted treatments to help control and prevent future ant invasions, ensuring properties remain pest-free.

Get an Ants Extermination Service Quote

How do ant extermination services work? Ant extermination services typically involve identifying the ant species, locating their nests, and applying targeted treatments to eliminate the colonies effectively.

Are ant extermination treatments safe for pets and children? Most professional ant treatments are designed to be safe when applied by experienced technicians, but it is advisable to follow any specific safety instructions provided by the service provider.

How long does an ant extermination treatment last? The duration of effectiveness varies depending on the treatment method and the severity of the infestation, with some treatments providing protection for several months.

Can ant problems come back after treatment? Yes, ants can return if new colonies establish themselves or if food sources and entry points are not addressed; ongoing prevention may be recommended.

What should I do before the ant extermination service arrives? It's generally advised to keep the area clean, remove food and water sources, and follow any specific instructions provided by the service provider to ensure the treatment's effectiveness.

Ants Inspection Services - Local pest control providers can assess your property to identify ant activity and nesting sites.

Ants Removal Solutions - Experienced pros utilize targeted treatments to eliminate ant colonies and prevent future infestations.

Preventive Ant Control - Service providers offer ongoing strategies to reduce the likelihood of ant re-entry around your property.

Ants Barrier Treatments - Local experts may apply barrier treatments to create a protective zone against ant invasions.

Ants Extermination Service

Considering Ants Extermination Service for a property in Fort Bend County, TX? The sections above highlight common project types, practical options, and details that often shape the scope of work.

When you are ready, use the quote form to share a few details about your project. Local pros can review the basics and respond with options that match what you have in mind.

Get an Ants Extermination Service Quote

Ants Extermination Quotes

Our Trusted Partners
Cantu Pest Control
Orkin
Hawx Pest Control