Local Service Guide

Get Ants Extermination Service in Pearland, TX

Local contractors in Pearland, TX, can help property owners eliminate ant infestations, prevent future problems, and handle residential or commercial pest control projects efficiently.

Pearland, TX

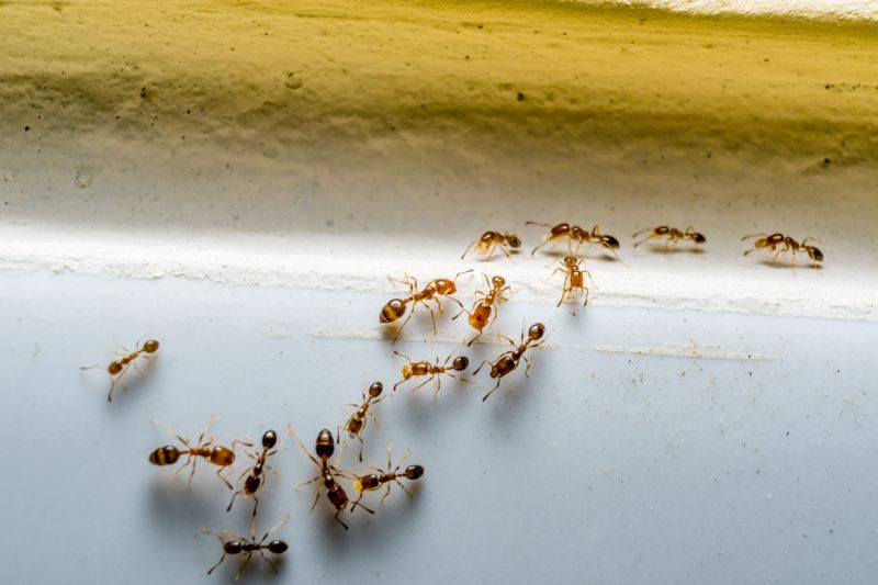
Ants can be a persistent nuisance for property owners in Pearland, TX, especially during warmer months when these pests tend to be most active. Whether dealing with an ongoing infestation or simply wanting to prevent future problems, exploring professional ant extermination services can provide effective solutions. Local service providers specialize in identifying ant species, assessing property conditions, and implementing targeted treatments to help maintain a pest-free environment. This makes it easier for property owners to plan their pest control strategies with confidence and compare options within the community.

Considering ant extermination services is a practical step for those looking to protect their homes and businesses from damage and inconvenience caused by these insects. Property owners in Pearland might seek assistance to address specific ant issues or to establish ongoing prevention efforts. By reviewing local contractors and their offerings, individuals can gather the information needed to make informed decisions about managing ant problems effectively. Keep reading to discover how local service providers can assist in creating a pest-free space tailored to your needs.

Get Ants Extermination Service Quotes

  • Ants Extermination - when ants invade kitchens or food storage areas in neighborhoods across Pearland, TX.
  • Ants Extermination - to eliminate persistent ant colonies found in yards or garden beds in nearby residential communities.
  • Ants Extermination - when ants are seen crawling inside homes in the Clear Lake or Friendswood areas.
  • Ants Extermination - to address ant infestations that threaten to spread in commercial or retail spaces in the local region.
  • Ants Extermination - when ant trails or nests are discovered in basements or crawl spaces in neighborhoods close to Houston.
Ants Extermination Service
Ants Extermination Service
Ants Extermination Service

Ants extermination services involve identifying and eliminating ant infestations within residential properties. Professional contractors typically conduct thorough inspections to locate ant colonies and entry points, then apply targeted treatments to eradicate the pests. These services often include the use of specialized baits, sprays, and barriers designed to prevent ants from returning. The goal is to remove existing colonies and establish a protective barrier that keeps ants from invading the home again, ensuring a cleaner and more comfortable living environment.

This service helps resolve common problems caused by ants, such as nuisance crawling and the potential for food contamination. Ants can invade kitchens, pantries, and other areas where food is stored or prepared, creating hygiene concerns. In some cases, infestations may lead to structural damage, especially if certain species like carpenter ants burrow into wood. Addressing an ant problem promptly can prevent these issues from escalating, reducing frustration and maintaining the integrity of the property.

Ant extermination services are often utilized by homeowners, property managers, and landlords who notice signs of ants or want to prevent future invasions. Properties that are frequently affected include single-family homes, apartment complexes, and multi-unit dwellings. Commercial properties such as restaurants, grocery stores, and food storage facilities may also seek these services to uphold sanitation standards and ensure pest-free environments. Any property experiencing persistent ant activity or concerned about potential infestations can benefit from professional assistance.

When ant problems emerge, recognizing the signs can help determine if professional treatment is needed. Common indicators include visible trails of ants, scattered worker ants indoors, or the presence of large colonies near the foundation or in the yard. Ants often enter through small cracks, gaps around windows, or doorways, especially during warmer months. Engaging with local service providers can provide effective solutions tailored to the specific type of ant and property layout, helping to restore comfort and prevent future pest issues.

The overview below groups typical Ants Extermination Service projects into broad ranges so you can see how smaller, mid-sized, and larger jobs often compare in Pearland, TX.

In many markets, a large share of routine jobs stays in the lower and middle ranges, while only a smaller percentage of projects moves into the highest bands when the work is more complex or site conditions are harder than average.

Basic Ant Control - Typical costs for routine ant extermination services in Pearland range from $250 to $600 for many smaller jobs. Many standard treatments fall within this middle range, covering common ant infestations in homes and yards.

Targeted Baiting and Trapping - More specialized services, such as baiting or trapping, usually cost between $300 and $800. These projects often involve ongoing monitoring and are common for persistent ant problems.

Large-Scale or Multiple-Location Treatments - Larger or more complex projects, like treating multiple properties or extensive outdoor areas, can reach $1,000 to $2,500. Fewer projects fall into this upper tier, but they are necessary for severe infestations.

Full Property Extermination and Prevention - Complete home or property overhauls, including ongoing prevention measures, typically cost $2,500 to $5,000 or more. These are less common and usually reserved for significant ant infestations or commercial properties.

Actual totals will depend on details like access to the work area, the scope of the project, and the materials selected, so use these as general starting points rather than exact figures.

Get a Quote

Rodent Control Projects - local contractors use pest management techniques similar to ant extermination, including inspection, baiting, and targeted treatments.

Termite Treatment Services - these projects require planning and application of chemical barriers, comparable to ant control methods.

Cockroach Extermination Projects - professionals utilize similar tools and strategies to eliminate crawling pests like ants from residential and commercial spaces.

Spider Pest Control Services - treatment plans involve inspection and targeted removal, akin to ant extermination procedures.

Bed Bug Removal Projects - these projects involve pest detection, treatment planning, and application techniques similar to those used in ant control.

Wildlife Exclusion Projects - local service providers implement planning and exclusion methods that align with pest control strategies for ants and other pests.

Ants Extermination Service

When evaluating contractors for ant extermination services in Pearland, TX, it’s important to consider their experience with similar projects. Homeowners should look for service providers who have a proven track record of successfully handling ant infestations in residential settings comparable to their own. An experienced contractor will understand the common challenges faced in the area and be familiar with effective treatment methods, which can contribute to a more efficient and thorough solution.

Clear written expectations are essential to ensure that both the homeowner and the service provider are aligned on the scope of work. When comparing local contractors, it’s helpful to review detailed descriptions of the services offered, including the methods used and any follow-up procedures. This clarity can prevent misunderstandings and provide confidence that the pest control approach will address the specific ant problem effectively.

Reputable references and good communication are key indicators of a reliable service provider. Homeowners should seek out local contractors who can provide references from past clients in Pearland or nearby communities, offering insights into their professionalism and quality of work. Additionally, responsive and transparent communication throughout the process can help homeowners feel more confident in their choice, knowing that the contractor is attentive to their concerns and committed to delivering satisfactory results. It’s important to remember that this site’s role is to introduce homeowners to local options, not to perform the work itself.

Get an Ants Extermination Service Quote

Property owners in Pearland, TX use Ants Extermination Service services for practical projects around their homes and businesses. This guide focuses on everyday jobs and straightforward project options.

Ants Extermination Service
Ants Extermination Service

Ants can become a common nuisance for property owners in Pearland, TX, especially during warmer months when these pests are most active. Homeowners and business owners might notice ant trails along kitchen counters, near entry points, or around outdoor patios, prompting the need for professional extermination services. In addition to the annoyance, some property owners seek ant removal to prevent potential damage to plants, structures, or stored goods, making it an important step in maintaining a comfortable and pest-free environment.

Local contractors experienced in ant extermination are often called upon when simple DIY solutions aren’t enough to eliminate persistent infestations. Whether ants are invading a residential backyard or a commercial space, property owners look for reliable service providers who can assess the situation and implement effective treatment methods. These professionals can help address common causes like cracks, gaps, or moisture issues that attract ants, providing a targeted approach to restore peace and prevent future invasions.

Get an Ants Extermination Service Quote

What are common signs of an ant infestation? Signs include visible ant trails, small piles of dirt or debris near entry points, and noticing ants inside the home or around food sources.

How do local contractors typically handle ant extermination? They usually perform inspections to identify ant species and entry points, then apply targeted treatments to eliminate colonies and prevent future invasions.

Are there effective methods to prevent ants from returning? Yes, sealing entry points, maintaining clean surfaces, and removing food and water sources can help reduce the likelihood of ant re-infestation.

What types of ants are common in Pearland, TX? Common species include odorous house ants, fire ants, and pavement ants, each requiring specific treatment approaches.

Can ant extermination services be combined with other pest control treatments? Yes, many service providers offer integrated pest management options that address multiple pests simultaneously for comprehensive protection.

Ants Prevention Tips - Property owners can learn how to reduce attractants around their homes to help prevent ant invasions.

Interior Inspection Strategies - Homeowners can identify common entry points and nesting areas inside their residences for targeted treatment.

Exterior Barrier Ideas - Property owners can explore ways to create physical barriers that keep ants from reaching their property.

Seasonal Pest Management - Homeowners can plan seasonal strategies to manage ant activity during peak times in Pearland, TX.

Ants Extermination Service

If you are thinking about Ants Extermination Service for a property in Pearland, TX, this guide is meant to help you understand the work, the typical project types, and how different options might fit your plans.

When you are ready, you can use the quote form on this page to share a few details about your project. From there, local pros can review the basics and respond with options that match what you have in mind.

Get a Quote

Ants Extermination Quotes

Our Trusted Partners
Cantu Pest Control
Orkin
Hawx Pest Control