Local Service Overview

Get Ants Extermination Service in Seabrook, TX

Ants extermination services for property owners in Seabrook, TX, and nearby areas address ant infestations, prevent future outbreaks, and handle residential and commercial pest control projects.

Seabrook, TX

Ants extermination services are essential for property owners in Seabrook, TX seeking to maintain a comfortable and pest-free environment. Effective ant control helps prevent infestations that can disrupt daily routines, damage property structures, or contaminate food supplies. By addressing ant issues promptly, property owners can enjoy a safer living or working space, reduce the risk of future invasions, and preserve the overall functionality of their properties.

Engaging professional ant extermination services also offers benefits related to durability and curb appeal. Proper treatment solutions can extend the longevity of building materials by preventing ant-related damage, while a pest-free exterior enhances the visual appeal of a property. Reduced maintenance needs and improved safety contribute to a more enjoyable and worry-free environment for residents and visitors alike.

Get Ants Extermination Service Quotes

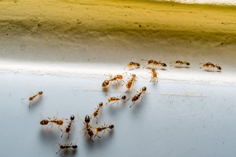
  • Ants Extermination - needed when ants invade kitchens, pantries, or other indoor spaces in Seabrook, TX and surrounding areas.
  • Ants Extermination - required if persistent ant trails appear around the exterior of a property in nearby neighborhoods.
  • Ants Extermination - necessary when ants are nesting in lawns, gardens, or mulch beds near Seabrook, TX homes.
  • Ants Extermination - sought after when ant colonies threaten to establish in cracks, crevices, or wall voids inside buildings.
  • Ants Extermination - called for when multiple ant species are present, indicating a need for targeted treatment in the Seabrook area.

Get Ants Extermination Service Quotes

Ants Extermination Service
Ants Extermination Service
Ants Extermination Service

Ants extermination services involve identifying and eliminating ant infestations in residential, commercial, or industrial properties. Professional pest control providers typically conduct thorough inspections to determine the type of ants present and assess the extent of the problem. Treatment plans often include the application of targeted insecticides, baiting systems, and barriers designed to eradicate existing colonies and prevent future invasions. These services aim to address the root causes of ant problems, ensuring that properties remain ant-free over the long term.

Ant infestations can cause various issues for property owners, including structural damage, contamination of food supplies, and general nuisance. Certain ant species, such as carpenter ants, are known to damage wood structures, which can compromise the integrity of buildings. Additionally, ants can be a health concern, especially when they invade kitchens and food storage areas, contaminating food and surfaces. Professional extermination services help resolve these problems by effectively removing colonies and implementing preventative measures to reduce the likelihood of re-infestation.

Properties that frequently utilize ants extermination services include single-family homes, apartment complexes, restaurants, and commercial warehouses. Homes are often targeted due to the desire to protect food supplies and prevent structural damage. Commercial properties, especially those involved in food service or storage, seek pest control to maintain hygiene standards and comply with health regulations. Additionally, property managers and business owners in areas prone to ant activity often schedule regular pest control treatments to maintain a pest-free environment.

Local pest control providers that offer ants extermination services typically customize treatments based on the specific needs of each property. They may employ a combination of chemical treatments, bait stations, and exclusion techniques to control and prevent ant populations. These services are designed to be discreet and effective, helping property owners maintain a clean, safe, and comfortable environment. Contacting a professional can provide peace of mind and ensure that ant problems are addressed efficiently and thoroughly.

The overview below groups typical Ants Extermination Service projects into broad ranges so you can see how smaller, mid-sized, and larger jobs often compare in Seabrook, TX.

In many markets, a large share of routine jobs stays in the lower and middle ranges, while only a smaller percentage of projects moves into the highest bands when the work is more complex or site conditions are harder than average.

Initial Treatment Costs - The cost for an initial ant extermination service typically ranges from $150 to $300, depending on the size of the affected area. For example, a standard home in Seabrook might fall within this range. Prices can vary based on the extent of the infestation and property size.

Per-Visit Service Fees - Many service providers charge between $100 and $250 per visit for ongoing ant control. Smaller properties may incur costs on the lower end, while larger or heavily infested homes could be at the higher end. Multiple visits might be recommended for complete eradication.

Treatment Area Costs - Treating specific problem areas such as kitchens or outdoor nests can cost between $50 and $150 per site. The price varies based on the size and accessibility of the targeted zone. Additional treatments might be necessary for persistent issues.

Maintenance and Follow-Up Costs - Follow-up visits for ant control typically range from $100 to $200 each. Regular maintenance may involve scheduled visits to prevent future infestations, with costs depending on property size and infestation severity. These services help ensure long-term control.

Actual totals will depend on details like access to the work area, the scope of the project, and the materials selected, so use these as general starting points rather than exact figures.

Get an Ants Extermination Service Quote

Ants Extermination services involve professional removal methods to eliminate ant infestations in residential and commercial properties. Local service providers use targeted treatments to address ant colonies effectively.

Ant Control for Homes focuses on identifying ant entry points and applying treatments to prevent future invasions in house structures. Local pros can assess and implement customized solutions for homeowners.

Commercial Ant Extermination services help businesses maintain pest-free environments by addressing ant issues that could impact operations or hygiene standards. Local specialists tailor strategies to commercial property needs.

Outdoor Ant Barrier Services involve creating effective barriers around properties to stop ants from entering indoor spaces. Local providers can recommend and install appropriate outdoor treatments.

Ant Nest Removal services target the elimination of visible ant colonies and nests in yards or building foundations. Local pest control experts locate and treat nests to prevent re-infestation.

Preventive Ant Treatments focus on ongoing solutions to keep ants from returning after initial extermination. Local service providers offer maintenance plans to help sustain pest-free conditions.

Ants Extermination Service

When comparing local ant extermination service providers, experience is a key factor to consider. Homeowners should look for professionals who have a proven track record in handling ant infestations within their specific area, such as Seabrook, TX and nearby communities. An experienced provider will typically have encountered a variety of ant species and infestation levels, which can contribute to more effective treatment strategies. While the site introduces multiple local options, it is important to review each contractor’s background to determine their familiarity with local pest challenges.

Clear communication and defined written expectations are essential when selecting an ant extermination service. Reputable local pros often provide detailed descriptions of their service process, what homeowners can expect during and after treatment, and any necessary preparations. This transparency helps set realistic expectations and ensures that homeowners are well-informed about the scope of work. Since the site connects users with local providers, it’s advisable to inquire directly about their communication approach and how they outline service details before making a decision.

Reputable references and reviews can also aid in evaluating local ant extermination specialists. While the site does not perform the work or endorse specific providers, it encourages homeowners to seek out references or testimonials from previous clients. Reliable service providers often have a history of positive feedback from local residents, which can offer insights into their professionalism and effectiveness. Good communication and a transparent approach to expectations, combined with reputable references, can help homeowners find a local pros who are well-suited to address their ant control needs effectively.

Get an Ants Extermination Service Quote

Property owners in Seabrook, TX use Ants Extermination Service services for practical projects around their homes and businesses. The sections below highlight everyday jobs and straightforward project options.

Ants Extermination Service
Ants Extermination Service

Ants extermination services are commonly sought after by property owners in Seabrook, TX, when ants become a persistent nuisance inside or around their homes. Common situations include spotting ant trails in kitchens, bathrooms, or other living spaces, or noticing an increase in ant activity near entry points like doors and windows. Property owners may also request professional help if they observe ant colonies establishing themselves in lawns, gardens, or foundation areas, especially during warmer months when ant activity tends to rise.

Many property owners seek ant extermination services to prevent potential damage and maintain a clean, pest-free environment. Ant infestations can interfere with daily activities, contaminate food, and create discomfort. Additionally, some may pursue treatment to avoid larger colonies from forming or spreading into other parts of the property. Local service providers can assist with targeted solutions to address these common, everyday pest control concerns effectively.

Get an Ants Extermination Service Quote

How do ant extermination services work? Ant extermination services typically involve inspecting the property to identify ant activity and nesting sites, followed by applying targeted treatments to eliminate colonies and prevent future infestations.

Are ant extermination treatments safe for pets and children? Many pest control providers use treatments designed to be safe around pets and children, but it is recommended to discuss specific concerns with the local service provider before treatment.

How long does an ant extermination treatment take? The duration of treatment varies depending on the extent of the infestation and the methods used, but most services are completed within a few hours.

Will I need multiple treatments for ants? Some ant species may require more than one treatment to fully eliminate the colony and prevent future invasions, as advised by the local pest control professional.

Can I prevent ants from returning after treatment? Local pros can provide advice on sanitation, sealing entry points, and ongoing maintenance to help reduce the likelihood of future ant problems.

Ants Identification and Inspection - Local pest control providers can assess the extent of ant infestations and identify the species involved to determine the most effective treatment approach.

Ant Extermination Treatments - Professionals offer various treatment options, including baits and insecticides, tailored to eliminate ants from residential and commercial properties.

Preventative Ant Control Solutions - Service providers can implement strategies to reduce the likelihood of future ant invasions through barrier treatments and sanitation advice.

Ongoing Monitoring and Maintenance - Regular inspections and follow-up services help ensure ant problems are kept under control and do not reoccur.

Ants Extermination Service

Considering Ants Extermination Service for a property in Seabrook, TX? The sections above highlight common project types, practical options, and details that often shape the scope of work.

When you are ready, use the quote form to share a few details about your project. Local pros can review the basics and respond with options that match what you have in mind.

Get an Ants Extermination Service Quote

Ants Extermination Quotes

Our Trusted Partners
Cantu Pest Control
Orkin
Hawx Pest Control