Local Service Overview

Get Ants Extermination Service in Mont Belvieu, TX

Ants extermination services for property owners in Mont Belvieu, TX, address ant infestations, prevent future invasions, and handle residential and commercial pest control projects.

Mont Belvieu, TX

Ants extermination services are essential for property owners in Mont Belvieu, TX seeking to maintain a comfortable and safe living or working environment. Effective ant control helps prevent infestations that can disrupt daily routines, damage structures, and compromise hygiene. By addressing ant problems promptly, property owners can enjoy a more functional space with reduced concerns about pests interfering with activities or causing potential health issues.

Engaging professional ant extermination services offers benefits such as enhanced durability of the property’s interior and exterior, minimized maintenance needs, and improved curb appeal. Proper pest management not only keeps ants at bay but also preserves the integrity of building materials and landscaping. This proactive approach supports long-term property value and ensures a more inviting, pest-free environment for residents, employees, or visitors.

Get Ants Extermination Service Quotes

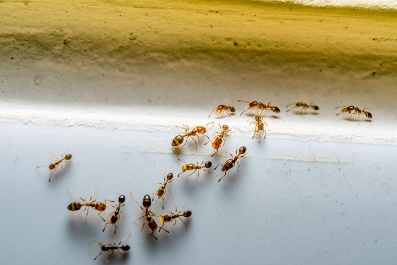
  • Ants Extermination Services - Professionals can help eliminate ant infestations in residential or commercial properties in Mont Belvieu, TX and surrounding areas.
  • Ants Prevention - Local service providers assist with identifying and sealing entry points to prevent future ant invasions.
  • Ants Inspection - Experts offer thorough inspections to locate ant colonies and determine the extent of an infestation.
  • Ants Baiting and Trapping - Service providers set up bait stations and traps to control ant populations effectively.
  • Ants Emergency Response - Immediate assistance is available for sudden or severe ant problems in homes or businesses.

Get Ants Extermination Service Quotes

Ants Extermination Service
Ants Extermination Service
Ants Extermination Service

Ants extermination services involve identifying and eliminating ant infestations within residential, commercial, or industrial properties. Trained service providers typically conduct thorough inspections to determine the extent of the problem and locate the nests or trails. They may apply targeted treatments, such as baiting systems or residual insecticides, to eradicate existing colonies and prevent future invasions. These services are designed to address the root causes of ant problems, ensuring that the property remains ant-free over time.

Ant infestations can cause a variety of issues, from property damage to hygiene concerns. Certain species, like carpenter ants, can compromise the structural integrity of wooden elements, while others may contaminate food supplies or create unsanitary conditions. Ants are also known to be persistent pests that can quickly multiply, making early intervention crucial. Professional extermination services help mitigate these problems by employing effective methods to control and remove ant populations, reducing the likelihood of recurring invasions.

Properties that commonly utilize ant extermination services include single-family homes, apartment complexes, restaurants, grocery stores, and warehouses. Residential properties often seek treatment to protect food storage areas and living spaces from infestation. Commercial establishments, especially those involved in food handling or storage, prioritize pest control to maintain hygiene standards and comply with health regulations. Additionally, property managers and landlords frequently engage pest control providers to manage ant issues across multiple units or commercial spaces.

Engaging local pest control professionals for ant extermination ensures that appropriate techniques are used based on the specific type of ant and the property’s characteristics. These experts can tailor treatment plans to effectively eliminate colonies and prevent future invasions. Regular inspections and maintenance services may also be recommended to monitor for signs of re-infestation and maintain a pest-free environment. Proper treatment by experienced providers can help property owners and managers maintain a clean, safe, and comfortable space free from ant-related problems.

The overview below groups typical Ants Extermination Service projects into broad ranges so you can see how smaller, mid-sized, and larger jobs often compare in Mont Belvieu, TX.

In many markets, a large share of routine jobs stays in the lower and middle ranges, while only a smaller percentage of projects moves into the highest bands when the work is more complex or site conditions are harder than average.

Initial Inspection and Treatment - The cost for an initial ant inspection and treatment typically ranges from $100 to $300, depending on the size of the property. For example, a small home in Mont Belvieu, TX, might be around $120, while larger properties could be closer to $250.

Perimeter Barrier Application - Applying a perimeter barrier to prevent ant entry generally costs between $150 and $400. The price varies based on property size, with a standard home costing roughly $200 in nearby areas.

Ongoing Maintenance and Spot Treatments - Regular maintenance visits or spot treatments can range from $50 to $150 per session. This cost depends on the severity of the infestation and the frequency of service required.

Comprehensive Pest Control Package - Complete ant extermination packages, including multiple treatments and follow-up visits, usually fall between $300 and $600. These packages are tailored to the property's needs and local pest conditions.

Actual totals will depend on details like access to the work area, the scope of the project, and the materials selected, so use these as general starting points rather than exact figures.

Get an Ants Extermination Service Quote

Ants Extermination services involve professionals who identify ant colonies and implement targeted removal methods to eliminate infestations effectively.

Local ant control experts utilize specialized treatments to address residential and commercial ant problems, ensuring thorough eradication.

Ants extermination providers can assess property conditions to prevent future invasions and recommend ongoing prevention strategies.

Professionals in ant removal services are equipped to handle various species of ants commonly found in Mont Belvieu, TX and surrounding areas.

Ant control specialists may employ baiting, trapping, or chemical treatments tailored to specific ant types and infestation levels.

Contacting local ant extermination providers ensures prompt and effective solutions for ant-related issues in residential or business settings.

Ants Extermination Service

When choosing a local provider for ant extermination services, it is important to consider the experience of the contractors. Established professionals often have a history of handling a variety of ant infestations, which can contribute to more effective and efficient solutions. Homeowners are encouraged to review the backgrounds of different service providers to understand their familiarity with local pest issues and the types of treatments they typically employ.

Clear communication and written expectations are essential when working with ant extermination specialists. Reputable providers tend to offer detailed service descriptions and transparent information about what homeowners can expect during and after treatment. This helps ensure that there are no misunderstandings and that the homeowner’s concerns are addressed upfront, leading to a smoother service experience.

Reputation and references from previous clients can provide valuable insights into the reliability and quality of local pest control providers. Homeowners should seek out service providers with positive feedback and verifiable references within the community. Reliable communication channels, such as timely responses and professional interactions, also contribute to a positive experience when coordinating ant extermination services.

Get an Ants Extermination Service Quote

Property owners in Mont Belvieu, TX use Ants Extermination Service services for practical projects around their homes and businesses. The sections below highlight everyday jobs and straightforward project options.

Ants Extermination Service
Ants Extermination Service

Ants Extermination Service providers in Mont Belvieu, TX are often sought after by property owners facing common household intrusions. Whether ants are found in kitchens, bathrooms, or around the exterior of a home, local professionals can assist in identifying the source of the infestation and implementing effective treatment plans. Property owners may look for these services to prevent damage to structures, protect food supplies, or simply eliminate the nuisance caused by persistent ant activity.

In addition to addressing ongoing infestations, property owners might consider ant extermination services when preparing for seasonal changes or after noticing increased ant activity following weather shifts. These services can help maintain a pest-free environment, especially in areas prone to ant invasions due to landscaping or nearby natural habitats. Connecting with local experts ensures that appropriate methods are used to manage ant problems efficiently and safely.

Get an Ants Extermination Service Quote

How do ant extermination services work? Ant extermination services typically involve identifying ant species and nesting sites, then applying targeted treatments to eliminate colonies and prevent future infestations.

Are multiple treatments usually necessary? The number of treatments depends on the severity of the ant problem and the species involved; a local pest control professional can provide guidance based on the situation.

Is ant extermination safe for pets and children? Professionals use treatments designed to minimize risks to pets and children, but it is advisable to follow any safety instructions provided by the service provider.

How long does an ant extermination treatment last? The effectiveness duration varies, but most treatments offer control for several weeks to months, with follow-up services recommended if ants return.

Can ant extermination prevent future infestations? Yes, a professional service can help identify entry points and implement measures to reduce the likelihood of future ant invasions.

Ants Identification and Inspection - Local pest control providers can assess your property to identify ant species and determine the extent of the infestation.

Targeted Ant Removal Treatments - Professionals offer effective treatment options tailored to eliminate ant colonies and prevent future invasions.

Preventative Ant Control Strategies - Service providers can implement barriers and exclusion methods to reduce the likelihood of ant re-entry.

Ongoing Monitoring and Maintenance - Experts can establish regular inspections to ensure ant problems are kept under control over time.

Ants Extermination Service

Considering Ants Extermination Service for a property in Mont Belvieu, TX? The sections above highlight common project types, practical options, and details that often shape the scope of work.

When you are ready, use the quote form to share a few details about your project. Local pros can review the basics and respond with options that match what you have in mind.

Get an Ants Extermination Service Quote

Ants Extermination Quotes

Our Trusted Partners
Cantu Pest Control
Orkin
Hawx Pest Control